click to enable zoom
loading...
We didn't find any results
open map
View
Roadmap Satellite Hybrid Terrain
My Location Fullscreen Prev Next

Advanced Search

More Search Options
We found 0 results. View results

801 Mccool Street Crossfield, Alberta T0M 0S0

Acreage

$800,000.00

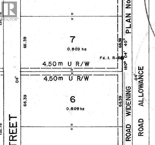
An excellent opportunity to own 2-acre industrial lot in the growing community of Crossfield, AB. Measuring 218 feet x 400 feet, this I-2 zoned property is ideal for a variety of industrial uses. Conveniently located just 10 minutes north of the City of Airdrie and 25 minutes from the City of Calgary, this site offers quick access to major transportation routes, including Stoney Trail, Highway 1, and QEII Highway. Whether you're expanding your business or looking for an investment, this strategically positioned site is ready for development. The adjoining 2-acre site is also available for purchase. (id:63844)

Property Details

MLS® Number A2269048
Property Type Vacant Land
Plan 8010002

Building

Age Age Is Unknown

Land

Acreage Yes
Fence Type Partially Fenced
Size Depth 121.91 M
Size Frontage 66.44 M
Size Irregular 2.00
Size Total 2 Ac|2 - 4.99 Acres
Size Total Text 2 Ac|2 - 4.99 Acres
Zoning Description I-2

Contact Us

Contact us for more information

Generating Captcha

RE/MAX Aca Realty
Box 530, 1018 Hammond Avenue
Crossfield, Alberta T0M 0S0

(403) 946-5657
(403) 946-5035

Your Favourites

 

No Favourites Found

 

Compare Listings